病虫详情介绍:
- 名称:辣椒疫病
- 易发时间:整个生育期
- 病源:辣椒疫霉菌
- 危害部位:茎
- 防治方案:发病初期立即喷药,可以使用62.8%霉多克可湿性粉剂1500倍液、58%抑快净1500倍液、68.75%银法利(氟吡菌胺+霜霉威)可湿性粉剂1500倍液、25%双炔酰菌胺悬浮剂2500倍液、77.2%霜霉威水剂1500倍液等喷施。间隔7 ~ 10天喷施一次,连喷3 ~ 4次。
病虫详情介绍:
- 名称:小麦锈病
- 易发时间:拔节期后
- 病源:担子菌纲、锈菌目、柄锈菌科
- 危害部位:叶秆、叶鞘、叶片等
- 防治方案:以种子的0.2%为使用量,用浓度为20%的粉锈宁拌种,也可以种子的0.15%为使用量,用浓度为2%的立克秀对种子进行包衣。可使用500毫升左右25%丙环唑乳油兑水750千克喷洒,也可使用600克浓度为25%的粉锈宁可湿性粉剂和一定量水混合进行喷洒。如果病害严重的话,可在第一次喷洒后的13天左右进行第二次喷洒。
病虫详情介绍:
- 名称:辣椒白粉病
- 易发时间:育苗期后
- 病源:辣椒拟粉孢菌、鞑靼内丝白粉菌
- 危害部位:叶片
- 防治方案:防治辣椒白粉病一定要早,最好在定植缓苗后,喷施植物化感剂碧生,7-10天喷施一次,连续喷施三次,能够使植株具有很好的抗病能力,将病菌扼杀在萌芽状态。辣椒白粉病发病初期,使用3亿CFU/克哈茨木霉菌叶部型300倍液喷雾,7-10天喷1次。治疗时,用朵麦可13克加水15千克均匀喷雾,隔4天喷雾1次,连喷2-3次。
病虫详情介绍:
- 名称:辣椒白粉虱虫
- 易发时间:育苗期后
- 病源:幼虫到成虫
- 危害部位:叶片
- 防治方案:烟雾剂法:当棚室内白粉虱发生较重时,用22%敌敌畏烟剂每亩用0.5千克,于傍晚收工前在保护地密闭熏烟,可杀成虫。喷雾法:25%扑虱灵或稻虱净可湿性粉剂1000~1300倍液,或1.8%爱福丁乳油1600~2000倍液,或10%吡虫啉可湿性粉剂1000~1200倍液,或40%乐果乳油1000倍液,或菜虫一次净1500倍液等均有效。
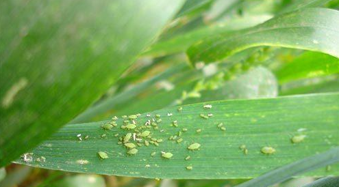
病虫详情介绍:
- 名称:小麦蚜虫
- 易发时间:拔节期后
- 病源:成虫、若虫
- 危害部位:麦叶片、果实
- 防治方案:可每亩用20%菊马乳油80ml、20%百蚜净60ml、40%保得丰80ml、2%蚜必杀80ml、3%劈蚜60ml,50%抗蚜威可湿性粉剂10~15克,10%吡虫啉可湿性粉剂20克。对水35~50千克(2~3桶水),于上午露水干后或下午4点以后均匀喷雾。如发生较严重。每桶水再加1包10%的吡虫林混合喷施。